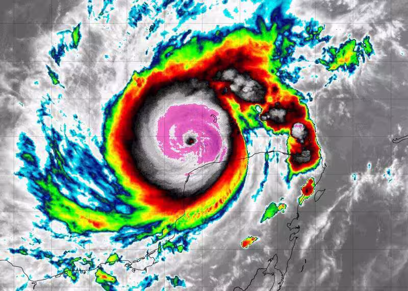
天氣/准米塔颱風「威力強又大」!估這時間直逼台灣

2025-09-17     呂純弘     反饋
3/3
防颱準備物品清單

沙包:為了避免雨滲入家中,堆沙包是常見的防颱準備工作之一。沙包堆疊的方式,可分為「人字形」和「磚牆形」人字形上、下排分別以左右交叉排列,如果第一層從右邊開始堆疊,第二層就從左邊開始堆疊,相鄰的沙包重疊三分之一;磚牆形上下排沙包,則以重疊三分之一的面積向上堆疊。 貼窗戶膠帶:颱風的瞬間陣風強大,大片的玻璃受到暴風侵襲較易碎裂。颱風前可以在大片玻璃上貼膠帶,利用膠帶在玻璃中間形成交叉點,增加支撐。 盆栽架、盆栽綁線:颱風來襲帶來強勁的風雨,如若不小心吹落盆栽恐遭成傷亡。小型盆栽應放到盆栽架的下方,並用綁線系牢,或拿至室內;大型盆栽則可簡單修剪枝條,並將其倒下橫躺,降低傷害。 泡麵、乾糧:颱風天風雨大,為考量自身與他人的安全,儘量避免外出或叫外送。最好先備妥方便烹調的食品,像是微波調理包、泡麵、麵包、土司、餅乾、巧克力等乾糧。 桶裝飲用水:颱風期間,間歇性大雨導致河川原水濁度飆高,影響民生用水。颱風前最好儲水備用,或準備桶裝飲用水,以確保停水或發生濁水問題時缺水。 緊急照明工具:強風暴雨恐導致停電,建議家中備有緊急照明工具,如手搖手電筒、照明燈、蠟燭等,以免停電時摸黑行動發生意外。 電池、行動電源:不幸停電時,若電力無法及時供應,所以除了照明用具,也要記得準備適用的乾電池。現在手機也可當成照明工具之一,多準備一顆行動電源,能讓手機保有足夠電力,不僅能照明,還能和外界保持聯繫。 雨衣、雨鞋:颱風侵襲期時,若不得已要出門,最好穿著雨衣、雨鞋。如使用雨傘容易遭強風吹「開花」造成危險。
管輝若 • 36K次觀看
管輝若 • 23K次觀看
呂純弘 • 10K次觀看
管輝若 • 7K次觀看
呂純弘 • 11K次觀看
管輝若 • 1K次觀看
舒黛葉 • 3K次觀看
劉奇奇 • 4K次觀看
呂純弘 • 8K次觀看
管輝若 • 4K次觀看
舒黛葉 • 4K次觀看
舒黛葉 • 14K次觀看
奚芝厚 • 18K次觀看
舒黛葉 • 1K次觀看
花伊風 • 2K次觀看
舒黛葉 • 1K次觀看
管輝若 • 3K次觀看
管輝若 • 4K次觀看
喬峰傳 • 9K次觀看
喬峰傳 • 3K次觀看
喬峰傳 • 5K次觀看
花伊風 • 2K次觀看
管輝若 • 18K次觀看
舒黛葉 • 16K次觀看